1 min read

Hurricane Beryl

Hurricane Beryl
This is bad...

We had gotten settled in to Grenada, and I haven't updated the blog in a while, sorry about that...

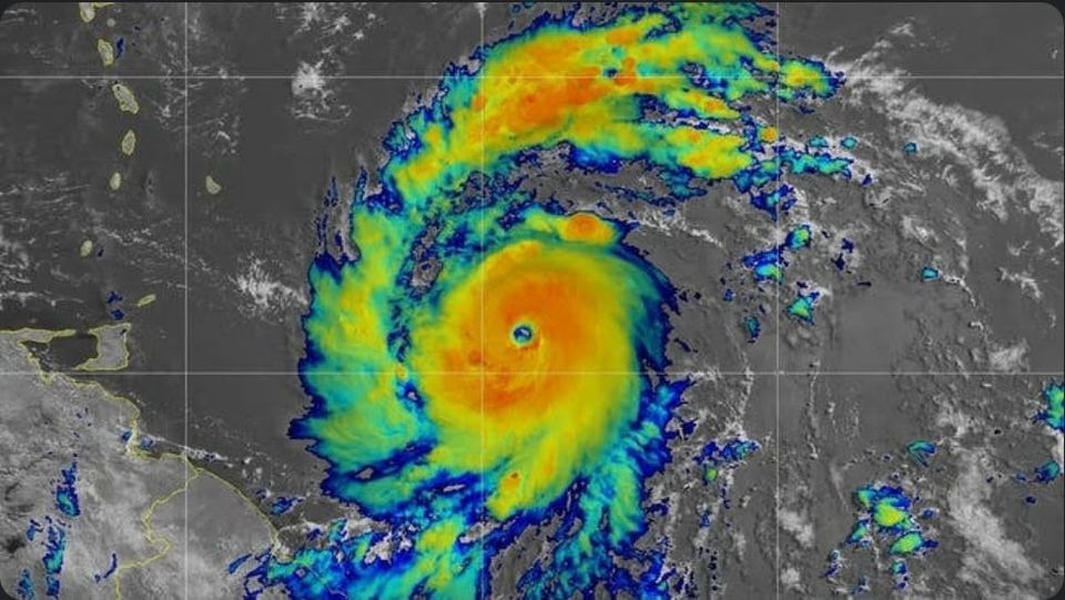
We aren't in Grenada, thankfully, as Hurricane Beryl starts to roll through this morning. Yesterday, we had a sporty sail south to Trinidad.

Our hearts are with everyone still in the windward islands.

The path of Beryl didn't go as far north as forecasted, so the eye is going over northern Grenada at the south end, and over Bequia/St Vincent at the north end.

It's still a major category 3 hurricane, the winds and storm surge will be very damaging.

We intended to go to Trinidad last Wednesday to escape Beryl, along with several of our friends, but we were denied entry because we didn't have import permits for the dogs. It wasn't until days later that Trinidad lifted the requirements and allowed us to come south.

We are frustrated by the bureaucracy that delayed our departure, but infinitely thankful at the willingness of Trinidad to move mountains to bring in and process so many boats and people during this time of emergency.

We intend to return to Grenada soon, but we don't know when that will be possible. For now, we are safe. We hope that our friends remain safe as well.